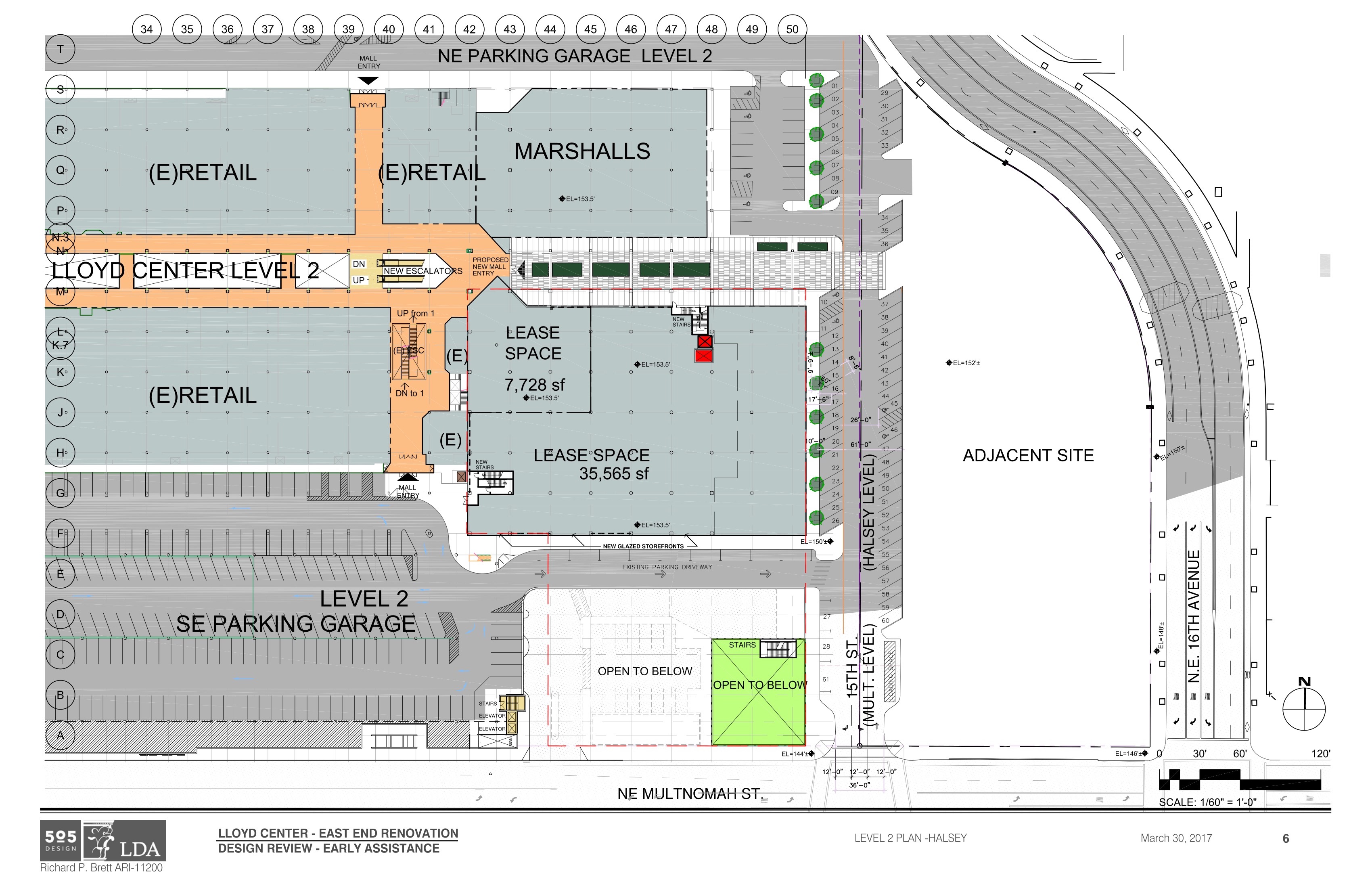
Lloyd_Theater_Addition_DAR1_DWG_03 Published May 8, 2017 at 3400 × 2200 in Lloyd Center Theater Addition receives Design Advice (images) ← Previous Next → Plan – Level 2 (Halsey)